<li id="yyyyy"><tt id="yyyyy"></tt></li>
  • <li id="yyyyy"></li>
  • <li id="yyyyy"><tt id="yyyyy"></tt></li>
  • <li id="yyyyy"></li>
    <li id="yyyyy"><tt id="yyyyy"></tt></li>
  • <li id="yyyyy"></li>
  • ???|??? ????
    2025?07?09? 

    [??] ???, ?? ?? ???? ??? ?? ??? ?? (4)

    10:54, February 22, 2022
    ????? ??? ??? ?? [2? 12? ??/?? ??: ???]
    ????? ??? ??? ?? [2? 12? ??/?? ??: ???]

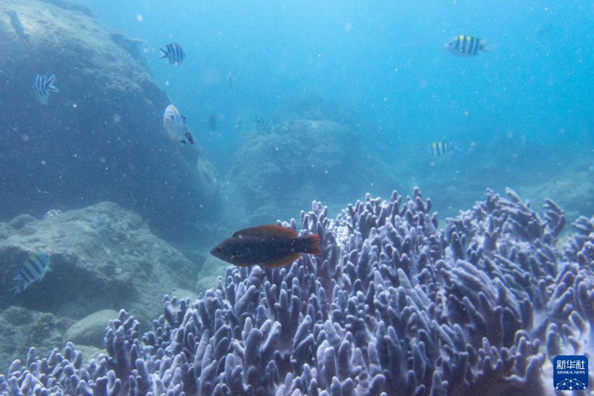
    [??? ???? 2? 22?] ?? ???(海南) ????(蜈支洲)? ????? ???? ?? ?????? ?? ?? ??? ????, ???? ?? ?? ???? ?? ? ??? ???? ??. (??: ???)

    ?? ??: ???/?? ??: ???

    ?? ?? ???

    ??: ??? ???? | (Web editor: 汪璨, 王秋雨) ?? ??

    ????

    ??? ??|??? ???? ??| ???? ???(?) ??|???? ??|????|????|????|????

    ??? ????>>??>>?? ??
    国产精品粉嫩福利在线观看